台风作为一种自然灾害,对于我们的危害是非常大的,它会破坏农作物、影响交通出行、造成洪涝灾害、产生泥石流等等。而且前段时间,中国发生的暴雨也是跟台风有关系的。那么史上最强台风21级叫什么名字呢?接下来大家就跟着小编一起去看看吧。
史上最强台风21级叫什么名
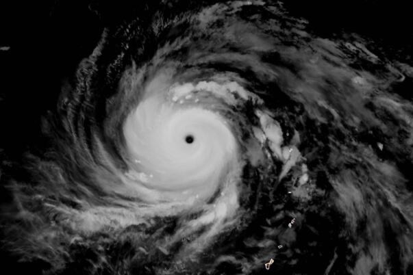
史上最强台风21级叫做泰培台风,是1979年的台风。
基本情况
泰培台风发生在1979年10月4日,一直持续到1979年10月24日,持续的时间长达20天。【周边网】泰培台风可以说是全世界综合情况最强烈的热带气旋,1979年10月12日,它的强度达到了巅峰,中心的风力速度达到了每小时305公里。受到泰培台风影响的区域主要是日本,同时我国的福建也受到了影响。
产生危害
泰培台风的破坏力非常强,产生的危害非常大。尽管当地的有关部门发出了台风预警,但是还是给相关区域造成了非常惨重的人员伤亡和财产损失。资料显示,在日本,泰培台风造成了110人死亡、543伤受伤、5人失踪,受灾人口数万,房屋倒塌数千栋;在中国福建,泰培台风造成了一百多条船只损毁,接近300亩水生养殖区域受灾,受灾人口接近3万。
台风
根据世界气象组织的定义,中心持续风速在12级到13级的热带气旋是台风。热带气旋主要分为三个区域,第一个是外圈,即大风区;第二个是中圈,即涡旋区;第三个是内圈,即台风眼。台风眼位于热带气旋中心天气十分稳定的地带,由于气压非常低,所以台风眼无风且天气晴朗。台风到来之前,相关部门会发布台风预警信号,即蓝色、黄色、橙色、红色预警,其中红色预警信号最可怕。




